Bee on the showy milkweed.
#bees #MilkWeed #HoneyBee #NativePlants #pollinators #insects #wildlife #nature #AsclepiasSpeciosa #wildflowers #June20 #today #BloomScrollingWithBee #FlowerWithBee #NotMilfWeed
First Blooms by Jean Evans https://jean-evans.pixels.com/featured/first-blooms-jean-evans.html
#photography #photograph #nature #flower #ShowyMilkweed #Asclepiasspeciosa #Flora #AYearForArt #ArtForTheSoul #allforart #ArtMatters #artwork #BuyIntoArt #TheGiftOfArt #art #artist #SupportArtists #GetSomeArt
Showy Milkweed by Jean Evans https://jean-evans.pixels.com/featured/showy-milkweed-jean-evans.html
#photography #photograph #nature #flower #ShowyMilkweed #Asclepiasspeciosa #Flora #AYearForArt #ArtForTheSoul #allforart #ArtMatters #artwork #BuyIntoArt #TheGiftOfArt #art #artist #SupportArtists #GetSomeArt
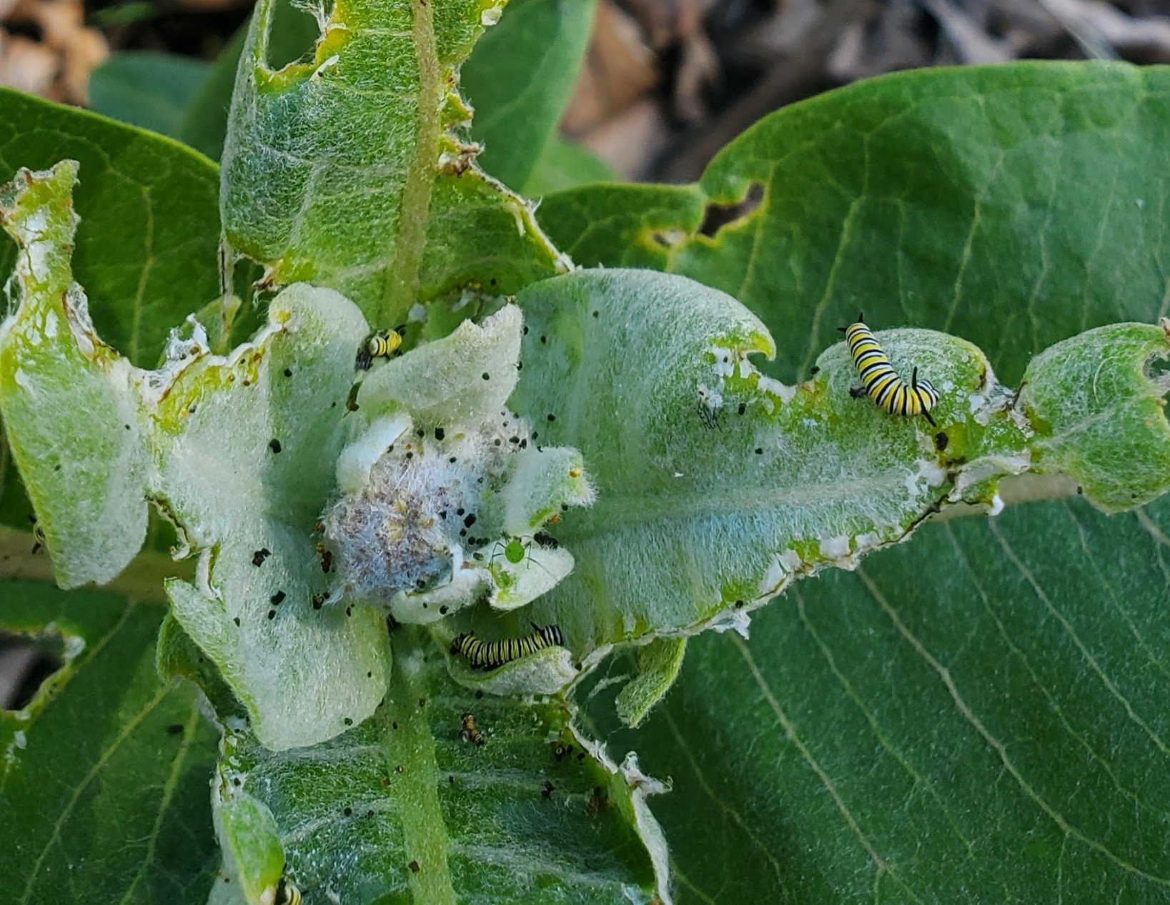
I got to meet some monarch caterpillars for the first time yesterday. Only 1/2" long, so precious!
And the seep monkeyflower I put in the farm's aquaponics system bloomed just in time for the festival this weekend!
#MonarchCaterpillars
#AsclepiasSpeciosa
#ErythrantheGuttata
#Aquaponics