#latinoam%C3%A9rica

EL PAÍS: el periódico globalelpais.com@web.brid.gy
2025-10-28
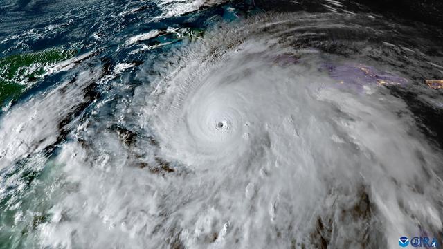
Vista del huracán Melissa, cuando se encontraba a unos 215 kilómetros al sureste de Kingston, la capital de Jamaica.
EL PAÍS: el periódico globalelpais.com@web.brid.gy
2025-10-28

Al menos 60 muertos y decenas de detenidos en una megaoperación contra el crimen organizado en Río de Janeiro

fed.brid.gy/r/https://elpais.c

Personas detenidas tras un operativo policiaco en Río de Janeiro, este martes.
EL PAÍS: el periódico globalelpais.com@web.brid.gy
2025-10-28
La presidenta de México, Claudia Sheinbaum, en una rueda de prensa este lunes.
EL PAÍS: el periódico globalelpais.com@web.brid.gy
2025-10-28

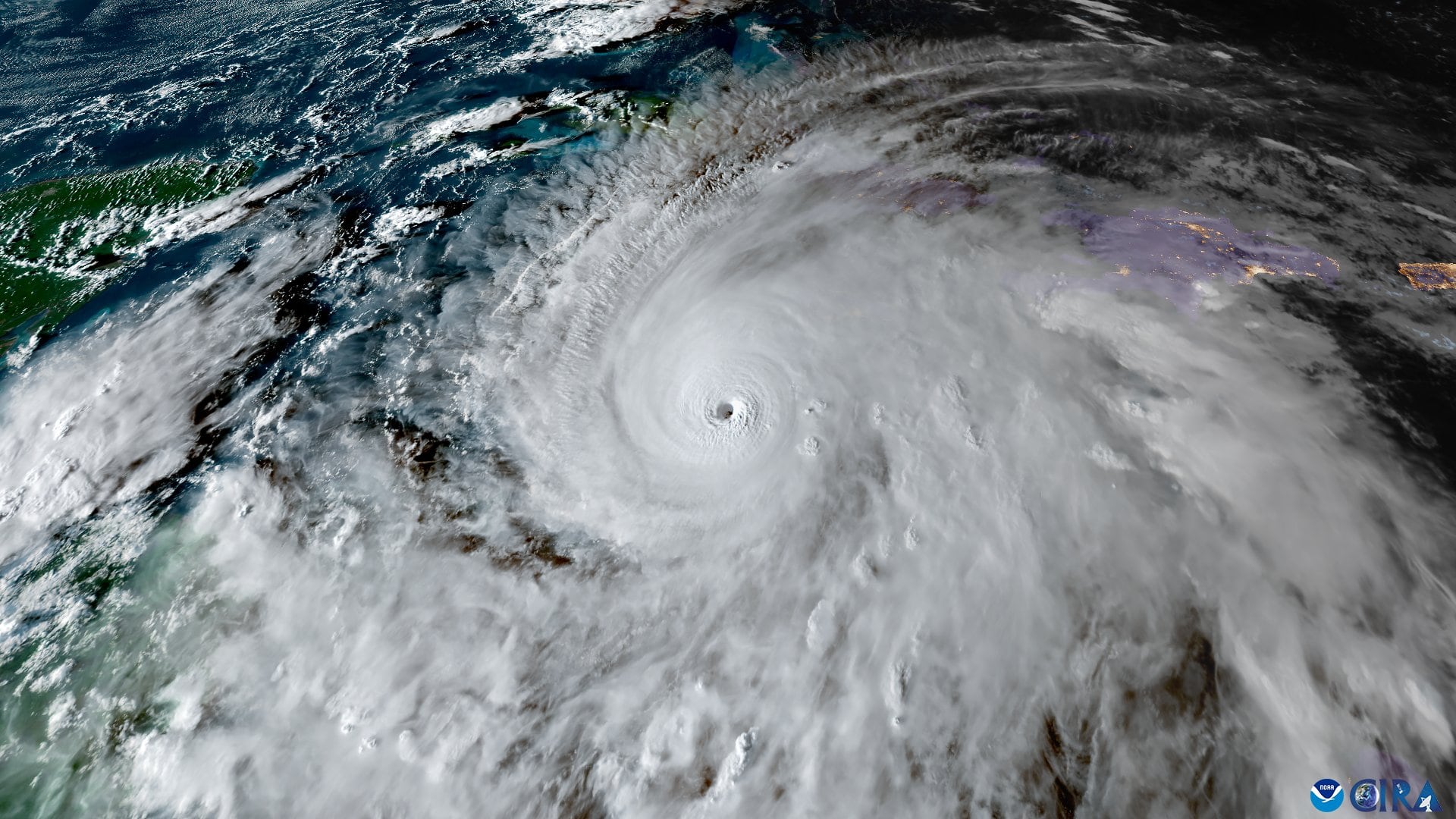
Jamaica comienza a sentir la inminente llegada del “catastrófico” huracán ‘Melissa’, que deja ya tres muertos

fed.brid.gy/r/https://elpais.c

EL PAÍS: el periódico globalelpais.com@web.brid.gy
2025-10-27

Pedro Sánchez intentó convencer a Sheinbaum de que invitara al Rey a su toma de posesión: “Le respondí que no era el momento adecuado”

fed.brid.gy/r/https://elpais.c

Pedro Sánchez, en Bruselas el 23 de octubre.
EL PAÍS: el periódico globalelpais.com@web.brid.gy
2025-10-27

Sheinbaum, sobre el perdón de España: “Nunca estuvimos de acuerdo con la manera en que respondieron, seguimos esperando”

fed.brid.gy/r/https://elpais.c

Claudia Sheinbaum en Palacio Nacional, este martes-
EL PAÍS: el periódico globalelpais.com@web.brid.gy
2025-10-27
EL PAÍS: el periódico globalelpais.com@web.brid.gy
2025-10-27
Javier Milei en Buenos Aires, este domingo.
EL PAÍS: el periódico globalelpais.com@web.brid.gy
2025-10-27
Javier Milei, presidente de Argentina, celebra los resultados de las elecciones legislativas, este domingo.
infoLibre - Información libre e independienteinfolibre.es@web.brid.gy
2025-10-27

El activista Javier Negre añade dos cabeceras a su proyecto "de bajo coste" para viralizar contenido ultra

fed.brid.gy/r/https://www.info

EL PAÍS: el periódico globalelpais.com@web.brid.gy
2025-10-26
Javier Milei tras votar en la Universidad Tecnológica Nacional, en Buenos Aires.
EL PAÍS: el periódico globalelpais.com@web.brid.gy
2025-10-27

Elecciones legislativas en Argentina 2025, en vivo | Milei gana las elecciones legislativas de medio mandato con más del 40% de los votos

fed.brid.gy/r/https://elpais.c

Una de las urnas para las elecciones legislativas en Buenos Aires.
2025-10-26

Buenas tardes, pues es de tarde aquí en #ElSalvador , les comparto algunas noticias interesantes y recientes de mi país #Enterense #mastodon #fediverse #fediverso #toot #viral #ESA #LATAM #hispanohablantes #enEspañol #castellano #noticias #actualidad #latinoamerica #mastonews #ultimahora pronto un nuevo episodio en mi #podcast llamado : noctambulo escritor SV. #spreakerpodcast ver ⬇️

EL MUNDO - Diario online líder de información en españolelmundo.es@web.brid.gy
2025-10-25

Legislativas en Argentina: los votos que determinarán el futuro de Javier Milei

fed.brid.gy/r/https://www.elmu

El presidente argentino pierde fuerza política ante los comicios de medio mandato mientras el Gobierno plantea la votación con un tono dramático y plebiscitario

El blanco de orilla latinoamericano debe estar sin duda a la par de los nazis y los sionistas en cuanto al nivel de asquerosidad y depravación

#Ecuador
#Latinoamerica
#Resistencia
#Colonialismo
#Clasemierdismo
#PueblosIndigenas

infoLibre - Información libre e independienteinfolibre.es@web.brid.gy
2025-10-26
EL PAÍS: el periódico globalelpais.com@web.brid.gy
2025-10-24
Gustavo Petro, en Bogotá, el 22 de agosto.

Client Info

Server: https://mastodon.social
Version: 2025.07
Repository: https://github.com/cyevgeniy/lmst