#Huracanes

cezanne at KillBaitcezanne@killbait.com
2025-11-22

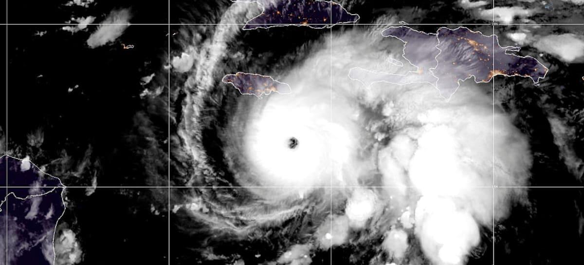
El huracán Melissa bate el récord de ráfagas de viento en el Caribe con 405 km/h

El cambio climático dispara huracanes más fuertes, el Caribe está en riesgo.

[Ver comentario original]

bee at KillBaitbee@killbait.com
2025-11-22

El huracán Melissa bate el récord de ráfagas de viento en el Caribe con 405 km/h

El huracán Melissa ha marcado un nuevo hito en la historia de la meteorología tropical. El 28 de octubre de 2025, una misión de cazahuracanes registró una ráfaga de 405 km/h en el interior del ciclón, antes de que llegara a Jamaica. Esta velocidad, equivalente a unas 252 millas por hora, supera el r... [Ver más]

oureasupremekai at KillBaitoureasupremekai@killbait.com
2025-11-22

El huracán Melissa bate el récord de ráfagas de viento en el Caribe con 405 km/h

Es impresionante cómo el huracán Melissa ha batido el récord de ráfagas de viento en el Caribe, alcanzando los 405 km/h. esto demuestra la magnitud de la intensificación explosiva de los ciclones tropicales, que, con el cambio climático, podrían volverse más frecuentes. Es urgente estudiar cómo afec...

[Ver comentario original]

athenaazure at KillBaitathenaazure@killbait.com
2025-11-18

Renuncia el director de FEMA tras reconocer su falta de preparación ante la temporada de huracanes

Es alarmante que el director de FEMA ni siquiera supiera que existía una temporada de huracanes en EEUU. Su falta de preparación es un reflejo de cómo se gestionan las emergencias en un sistema político donde todo es un caos. La renuncia es lo menos que podía hacer.

[Ver comentario original]

maricarmen at KillBaitmaricarmen@killbait.com
2025-11-18

Renuncia el director de FEMA tras reconocer su falta de preparación ante la temporada de huracanes

Bueno, no cabe duda que el sistema se debilita con malas políticas. No es solo culpa de Richardson la desorganización de FEMA habla por sí sola. Menos recortes, más planificación real.

[Ver comentario original]

fawkespenelope at KillBaitfawkespenelope@killbait.com
2025-11-18

Renuncia el director de FEMA tras reconocer su falta de preparación ante la temporada de huracanes

David Richardson, director interino de la Agencia Federal para la Gestión de Emergencias (FEMA) de Estados Unidos, presentó su dimisión después de un corto y polémico mandato. Su salida fue precipitada por comentarios sorprendentes durante una reunión técnica, donde admitió no saber que existía una ... [Ver más]

uranusbeetle at KillBaituranusbeetle@killbait.com
2025-11-18

Desastres dejan milonarias pérdidas en 2025

Aon reporta 203 mil millones de dólares en daños globales.


Por Deyanira Vázquez | Reportera                                        

La firma Aon plc (NYSE: AON) informó que los desastres naturales ocasionaron pérdidas económicas por al menos 203 mil millones de dólares a nivel mundial, con un mínimo de 114 mil millones en pérdidas aseguradas durante los primeros nueve meses de 2025.

El reporte Global Catastrophe Recap Q3 mostró que la brecha de protección aseguradora alcanzó un 44%, la más baja registrada históricamente para ese periodo. Este comportamiento estuvo influido por la elevada proporción de cobertura en Estados Unidos, que representó el 88% de las pérdidas aseguradas.

El documento señaló que esta reducción marcó un avance relevante para el sector asegurador global, que asumió un papel cada vez más importante en la recuperación económica ante fenómenos naturales. Sin embargo, enfatizó que persisten diferencias significativas entre regiones en materia de cobertura y resiliencia financiera.

Riesgos y brecha de protección

Según el informe, la menor brecha de protección reflejó una oportunidad global para ampliar la cobertura frente a riesgos climáticos. Aon precisó que lograrlo requerirá mayor inversión en soluciones adaptadas a las condiciones de cada región y colaboración con fuentes de capital público y privado.

La compañía subrayó que la cooperación entre el sector asegurador, los gobiernos y los actores financieros será esencial para fortalecer la gestión de riesgos y la transferencia de pérdidas, especialmente en países con alta exposición a desastres naturales.

El estudio indicó que la tendencia de 2025 consolidó una participación más activa del mercado asegurador en la respuesta ante catástrofes, aunque aún existe un margen considerable para mejorar la protección en naciones de ingresos medios y bajos.

Inundaciones y tormentas severas

Durante el tercer trimestre de 2025 se observó una frecuencia relativamente baja de eventos catastróficos. No obstante, las inundaciones registradas en China fueron el fenómeno más relevante del periodo, con pérdidas estimadas en 12 mil millones de dólares.

En Estados Unidos, las tormentas convectivas continuaron provocando daños significativos. El episodio ocurrido entre el 15 y el 19 de agosto dejó pérdidas económicas por 1.9 mil millones de dólares y pérdidas aseguradas por 1.5 mil millones.

A nivel global, las pérdidas económicas totales del tercer trimestre ascendieron a 34 mil millones de dólares, mientras que las aseguradas alcanzaron 12 mil millones, cifras que se ubicaron 76% y 72% por debajo del promedio del siglo XXI. –sn–

Camino afectado por inundacion

¡Conéctate con Sociedad Noticias! Suscríbete a nuestro canal de YouTube y activa las notificaciones, o bien, síguenos en las redes sociales: FacebookTwitter e Instagram.

También, te invitamos a que te sumes a nuestro canal de información en tiempo real a través de Telegram.

#NoticiasMX #PeriodismoParaTi #PeriodismoParaTiSociedadNoticias #Aon #AonPlc #CambioClimático #catástrofes #Cdmx #desastresNaturales #huracanes #Información #InformaciónMéxico #inundaciones #México #Morena #noticia #noticias #NoticiasMéxico #NoticiasSociedad #pérdidasEconómicas #reaseguro #seguros #SN #Sociedad #SociedadNoticias #SociedadNoticiasCom #sociedadNoticias #SociedadNoticiasCom #tormentas

Camino afectado por inundacion
2025-11-04

🎯 ■ Una chica cubana enseña cómo se ha preparado su familia para la llegada del huracán Melissa ■ "Mi amor, estamos en Cuba, y aquí se hace difícil hasta conseguir agua potable".
huffingtonpost.es/virales/una-

#virales #catastrofesnaturales #cuba #prevencion #huracanes #tiktok

El huracán Melissa se refuerza y vuelve a subir a categoría 4 al acercarse a Cuba (Norlys Perez)
2025-10-30

🎙️ ■ Melissa, el huracán que el cambio climático convirtió en un monstruo ■ Científicos del Imperial College de Londres confirman que el devastador huracán que arrasó Jamaica fue cuatro veces más probable por culpa del calentamiento global.
los40.com/2025/10/30/melissa-e

#huracanes #desastresnaturales #jamaica #cambioclimatico #planeta #elecodelos40 #marcaribe

El huracán Melissa, en una imagen de satélite. / Handout
EL PAÍS: el periódico globalelpais.com@web.brid.gy
2025-10-30
EL PAÍS: el periódico globalelpais.com@web.brid.gy
2025-10-29
Calles inundadas en Santiago (Cuba) tras el paso de Melissa este miércoles.
EL PAÍS: el periódico globalelpais.com@web.brid.gy
2025-10-29

Última hora del huracán ‘Melissa’, en directo | ‘Melissa’ toca tierra en Cuba con vientos de 200 kilómetros por hora

fed.brid.gy/r/https://elpais.c

Un hombre camina bajo la lluvia en Cañizo, una localidad aledaña a Santiago de Cuba, este miércoles.
EL PAÍS: el periódico globalelpais.com@web.brid.gy
2025-10-28
Vista del huracán Melissa, cuando se encontraba a unos 215 kilómetros al sureste de Kingston, la capital de Jamaica.
EL PAÍS: el periódico globalelpais.com@web.brid.gy
2025-10-28
Fuerte oleaje en la costa de Kingston, Jamaica, mientras se acerca el huracán Melissa, este martes.
EL PAÍS: el periódico globalelpais.com@web.brid.gy
2025-10-28

Client Info

Server: https://mastodon.social
Version: 2025.07
Repository: https://github.com/cyevgeniy/lmst